Frequency peak at around 2 kHz
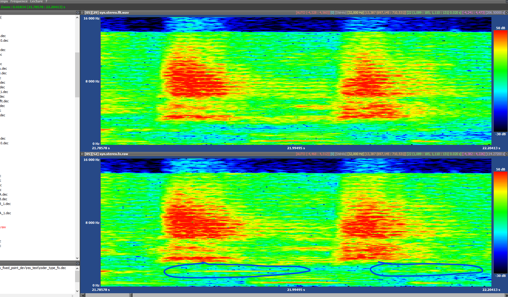
When the content has low energy in the lower frequency part, we can sometime show the apparition of a frequency peak close to 2 kHz.
bitstream used : ltv_STEREO_p9dB_32k.bit.13200
and the problem shown is located at least between 21-23s
This seems to be coming from the high band synthesis as shown in the next figure (spectrogram and shown are from the hb_synth_32_fx).
Most of the time, it is not audible as the input content has enough energy to hide this frequency peak.
Edited by vaillancour

